Spezialisiert auf die
Verkauf von exklusiver Fahrzeuge
im In- und Ausland
Porsche-Boxster 3.2 S 252 PS 986 2002 YOUNGTIMER.
Fotos
Information




























































Artikelbeschreibung
chassisnummer: WP0ZZZ98Z2U643478
Merk: Porsche
Model: Boxster
Type: 996 3.2
Carrosserie: Cabriolet
Brandstof: Benzine
Transmissie: Handgeschakeld
Afgelezen tellerstand: 77339
Teller eenheid: KM
vermogen: 252
Kleur: Wit
Aantal zitplaatsen: 2
Aantal deuren: 2-deurs
Stuurwiel: Links gestuurd
Aandrijving: Achterwiel
Ledig gewicht: 1295kg
Datum eerste toelating: 1-1-2002
NAP status: Niet van toepassing
Schade: Gebruikersschades/sporen naar leeftijd/km-stand.
Bezoek de kijkdag voor uw eigen oordeel.
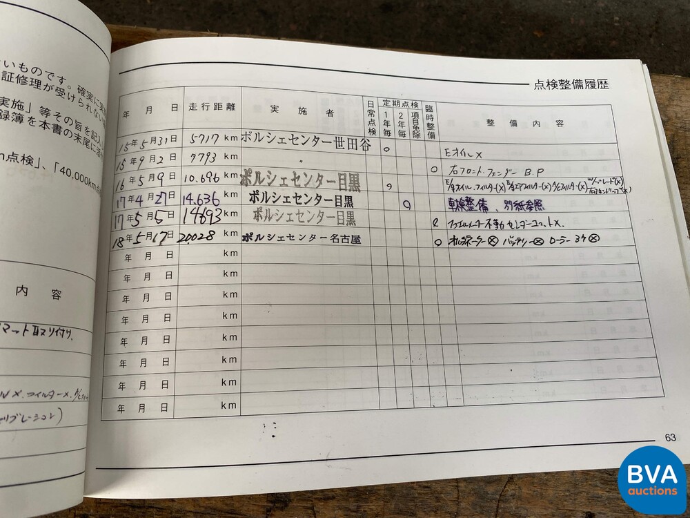
Onderhoudshistorie aanwezig: Ja-gedeeltelijk
Nationaliteit documenten en overige: Japanse documenten, BTW en invoerrechten betaald
Btw marge: BTW
Accessoires: airco automatisch,navigatie,lederen bekleding,stoelen electrisch verstelbaar,lichtmetalen velgen,stuurbekrachtiging,radio-cd-speler,stoelverwarming
Overige accessoires: Xenon koplampen (Litronic), Elektrisch verstelbare spiegels, Elektrische ramen, Traction control, etc.
Handlingsfee: Op deze kavel is een Handling-Fee van 150 Euro van toepassing.
Aanvullende info: Deze Porsche Boxster S 3.2 bevindt zich in een nette en rijdende conditie. Naar het zich laat aanzien is de kilometerstand origineel.
Auto's uit Japan staan erom bekend dat door het milde klimaat ze in een goede staat verkeren. Daarnaast zijn Japanners consequent in het opvolgen van onderhoudsintervallen, hierdoor zijn de auto's doorgaans bovengemiddeld onderhouden.
Deze auto heeft een gunstige zakelijke bijtelling en is een BTW auto.
Conditie: Gebruikt
Merk: Porsche
Model: Boxster
Type: 996 3.2
Carrosserie: Cabriolet
Brandstof: Benzine
Transmissie: Handgeschakeld
Afgelezen tellerstand: 77339
Teller eenheid: KM
vermogen: 252
Kleur: Wit
Aantal zitplaatsen: 2
Aantal deuren: 2-deurs
Stuurwiel: Links gestuurd
Aandrijving: Achterwiel
Ledig gewicht: 1295kg
Datum eerste toelating: 1-1-2002
NAP status: Niet van toepassing
Schade: Gebruikersschades/sporen naar leeftijd/km-stand.
Bezoek de kijkdag voor uw eigen oordeel.
Onderhoudshistorie aanwezig: Ja-gedeeltelijk
Nationaliteit documenten en overige: Japanse documenten, BTW en invoerrechten betaald
Btw marge: BTW
Accessoires: airco automatisch,navigatie,lederen bekleding,stoelen electrisch verstelbaar,lichtmetalen velgen,stuurbekrachtiging,radio-cd-speler,stoelverwarming
Overige accessoires: Xenon koplampen (Litronic), Elektrisch verstelbare spiegels, Elektrische ramen, Traction control, etc.
Handlingsfee: Op deze kavel is een Handling-Fee van 150 Euro van toepassing.
Aanvullende info: Deze Porsche Boxster S 3.2 bevindt zich in een nette en rijdende conditie. Naar het zich laat aanzien is de kilometerstand origineel.
Auto's uit Japan staan erom bekend dat door het milde klimaat ze in een goede staat verkeren. Daarnaast zijn Japanners consequent in het opvolgen van onderhoudsintervallen, hierdoor zijn de auto's doorgaans bovengemiddeld onderhouden.
Deze auto heeft een gunstige zakelijke bijtelling en is een BTW auto.
Conditie: Gebruikt
Auktionsbeschreibung
Bei dieser Auktion wird eine Bearbeitungsgebühr von 150 Euro pro Los erhoben.
Da die Autos in dieser Auktion ohne Gewährleistung verkauft werden, empfehlen wir Ihnen, die Autos an den Besichtigungstagen persönlich zu besichtigen.
Möglich ist dies auch durch einen Sachverständigen, der von Ihnen benannt werden muss. Auf Wunsch kann für die Besichtigung ein spezieller Termin vereinbart werden.
In der Losliste finden Sie alle Lose und können ganz einfach ein Gebot abgeben. Sie haben noch kein kostenloses Konto? Dann registrieren Sie hier . Bei Fragen steht Kundendienst unser NOTRANSLATE_2 täglich zur Verfügung. - Übersetzung durch Google Translate




